FRI
雨時々曇り
14.0℃
16~19℃
南
6.5~12.7m/s
小潮
05:50/-
20:09/-
なし
あり

| サバ | 23㎝ | 1匹 |
|---|---|---|
| アジ | ~23.5㎝ | 5匹以上 |
| クロダイ(チヌ) | ~50㎝ | 3匹 |
⚠️ご来園される前に、こちらを今一度ご確認お願いします⚠️
🐟スタッフ募集中🐟
須磨海づり公園で、一緒に働いていただける方を募集してます!!
・釣り経験の有無は問いません。
・土日祝に出勤可能な方大歓迎!!
・季節ごとに、開園時間が変わるため、勤務時間も変動します。
アットホームな職場で、皆さん仲良く、楽しく仕事をしてます✨
釣り好きな方も、もちろん大歓迎!!
詳しくは、下記画像をご確認ください。

~月間大物賞開催中~
4月は、月間大物賞を開催中です。
詳しくは、こちらからご確認ください。

本日は、うねりを伴いながら、水しぶきを上げるほど高い波が連続して押し寄せました。
風も強く、天気も悪い状態でしたが、
夕方頃から、天気は持ち直しました✨
🌸春休み🌸
春休み期間中は、たくさんのお客様がご来園され、入場制限となる可能性があります。
事前に、HPをご確認のうえ、お越しいただきますようお願いいたします。
また、桜期間中の須磨浦公園駅周辺は、更なる混雑が予想されます。
できるだけ、公共交通機関をご利用のうえ、お越しください。
~本日の来園者数~
6人
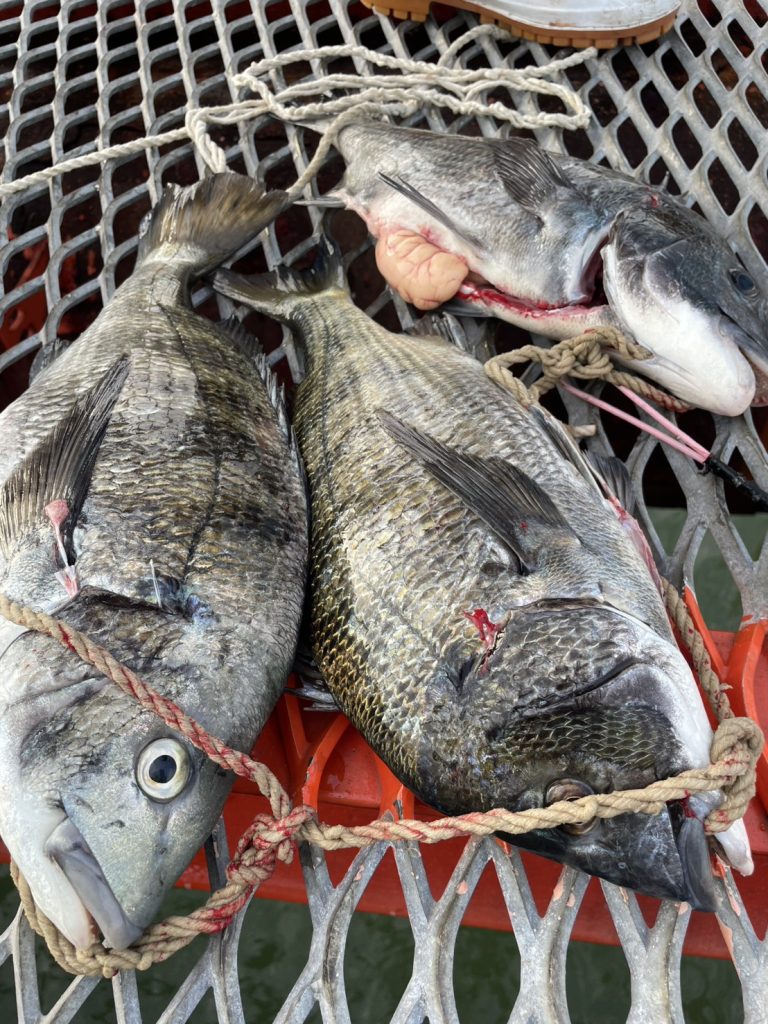
🐠本日の釣果🐠
午前は、釣果なし。
午後は、サバ・チヌ(フジツボ、オキアミ)・アジが釣れました🐟
フジツボでも、チヌが釣れました✨
また、北釣台でもアジが釣れ出しました。
公式インスタグラムはこちらから。
いいね💓 や フォローよろしくお願いします。








明日以降も、皆様のご来園お待ちしております。